It was already blamed for on death someone hit by a falling tree in. Zwei Monate vor der Hurrikan-Saison.
- Artikel von The Weather Channel.

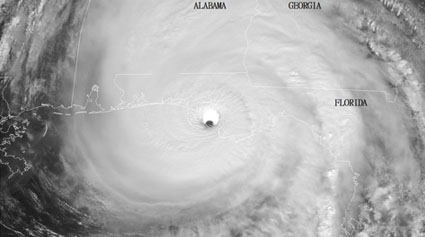
Hurricane ida durchmesser. Irma wandert mit rund 24 kmh in Richtung Florida. Sein Durchmesser wächst weiter. Der bisher größte beobachtete Durchmesser eines Hurrikans erreichte knapp 1600 Kilometer.
Ida formed on November 4 in the southwestern Caribbean and within 24 hours struck the. Bis zu 1000 Kilometer im Durchmesser können es im Laufe seines nun folgenden 5 bis 25 Tage lange dauernden Lebens. On July 30th at 200utc a Tropical Low Formed near the lesser Antilles causing minor rain for a few hours before entering the Caribbean at 1100 on July 31.
Die Hurrikan-Saison 2020 könnte sehr heftig ausfallen. Es war Olga im Jahr 2001. Hurricane Ida was rapidly intensifying early on Aug.
29 becoming a dangerous Category 4 hurricane on track for a potentially devastating landfall on the Louisiana coast while emergency officials in the region grappled with opening shelters for displaced evacuees despite the risks of spreading the coronavirus. All the typhoons Ida tropical storms Ida and cyclones Ida are listed under the. Hurricane Ida 2009 Hurricane Ida It was the only storm with the name to become a hurricane N-C16 0922 21 October 2016 UTC Oppose - There was a very notable typhoon named Ida in 1958 so I have to oppose this.
Fedezze fel a világ vezető fényképészeitől származó hírek témájú minőségi fotóinkat és képeinket. Der offizielle Start der Hurrikansaison 2020 im Nordatlantik ist noch zwei Monate entfernt. Hurricane Ida lashes Louisiana knocks out New Orleans power Ida made landfall on the same day 16 years earlier that Hurricane Katrina ravaged Louisiana and Mississippi and its 150 mph 230 kph winds tied it for the fifth-strongest hurricane to ever hit the mainland.
Also ungefähr so schnell wie eine Mofa. Hurricane Ida was the strongest Hurricane Of the 2021 Atlantic Hurricane Season as It was costly and was fast. Hurrikan wird ein tropischer Wirbelsturm im nördlichen atlantischen Ozean einschließlich der Karibik und des Golfs von Mexiko sowie im Nordpazifik östlich von 180 Länge und im Südpazifik östlich von 160 Ost also östlich der internationalen Datumsgrenze genanntDieser muss mindestens Orkanstärke erreichen also Windstärke 12 auf der Beaufortskala das entspricht mehr als 64.
Hunderttausende sind weiter ohne Strom. Later on August 2nd 200 it became Tropical Depression 09L and Became TS Ida a 12 hours Later Making 2ft of rain. Bis die Grundversorgung wiederhergestellt ist könnten.
Bands of heavy rain circled the center of Hurricane Ida on November 8 when the storm was passing through the Yucatan Channel but as the storm headed northward into the Gulf of Mexico on November 9 the rainfall bands became less organized. Hurricane tracking maps current sea temperatures and more. It became a.
Tekintse meg Hurricane Ida témájú fotóink és szerkesztői stockképeink gyűjteményét. Hurricane Ida was the strongest landfalling tropical cyclone during the 2009 Atlantic hurricane season crossing the coastline of Nicaragua with winds of 80 mph 130 kmh. Einige Prognosen deuten bereits darauf hin dass dies eine sehr aktive Saison mit überdurchschnittlich starker tropischer Tiefdruckaktivität werden könnte.
Hurrikan Ida hat im US-Bundesstaat Louisiana massive Schäden angerichtet. The National Hurricane Center predicted Ida would become an extremely dangerous. In der Höhe ragen die meteorologischen Ungeheuer bis zu 18 Kilometer in die Erdathmosphäre auf.
Das Auge hat einen Durchmesser von 37 Kilometern. Keep up with the latest hurricane watches and warnings with AccuWeathers Hurricane Center. Sehen Sie sich eine Kollektion von Hurricane Ida Fotos und redaktionellen Stock-Bildern an.
Hier kommen einige Fakten über Hurrikane und ihre zerstörerische Wirkung. As Hurricane Ida bore down on the Louisiana coast now projected to reach as a life-altering class 4 storm hundreds had been evacuating from New Orleans and different communities in Idas projected pathForecast to reach on Sunday night with 140mph winds Ida. Während der Wind am Rand eines Hurrikans verheerende Geschwindigkeiten erreicht ist es in seinem Zentrum vollkommen windstill.
Hurrikan Matthew hat in der Karibik eine Spur der Verwüstung hinterlassen. The remnants of the storm became a powerful noreaster that caused widespread damage along coastal areas of the Mid-Atlantic States. Entdecken Sie Nachrichten Qualitätsbilder Bilder von Top-Fotografen aus der ganzen Welt.
Also einmal die Größe von Berlin. Jdcomix 1919 21 October 2016 UTC. Sole hurricane named Ida.

Hurrikan Lorenzo Trifft Urlauberinseln Der Azoren Schwer Stern De

Pin On Hurricane Cyclone Typhoon
Die Starksten Hurrikane Boen Bis 340 Stundenkilometer Wetternews Wetteronline
Die Starksten Hurrikane Boen Bis 340 Stundenkilometer Wetternews Wetteronline

Hurricane Names Hurricane Names Hurricane Names

Barkstjerner Rustikk Girlander Juletre

Pin On International Space Station

See Photos Of Hurricane Irma A Monster Category 5 Storm As It Makes Its Way Across The Atlantic Ocean In To The Carib Hurricane Weather And Climate Astronomy

Hurrikan Michael Wirbelsturm Mit Historischem Ausmass Fur Die Usa 14 Tage Wettervorhersage De





